Citizen Scientists Are Helping With Rescue Efforts In Hurricane Melissa's Aftermath – Here's How You Can Too

0
556

Citizen Scientists Are Helping With Rescue Efforts In Hurricane Melissa's Aftermath – Here's How You Can Too

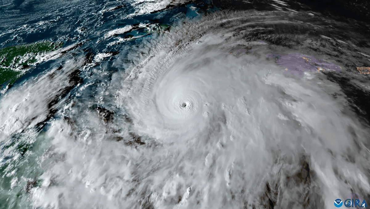
Hurricane Melissa was a catastrophic event. It was the third-most intense Atlantic Hurricane on record and the strongest of 2025. It was the strongest ever to make landfall in Jamaica, where it hit the Caribbean island on October 28, 2025. This cyclone has caused the death of over 83 people in Jamaica, Haiti, the Dominican Republic, and Cuba, and left billions of dollars of damage in its wake.

The rest of this article is behind a paywall. Please sign in or subscribe to access the full content.

"Initial estimates show that the damage caused is approximately the equivalent of 30% of Jamaica's GDP, a figure that's expected to rise," Kishan Khoday, UN Development Program resident representative for the Bahamas, Belize, Bermuda, the Cayman Islands, Jamaica, and the Turks and Caicos Islands, said Thursday.

The complete picture of damages remains uncertain, especially to public infrastructure such as roads, bridges, ports, and airports. The lack of knowledge is a hindrance to the timely distribution of aid, and for that reason, the Logistics Cluster at the World Food Programme asked researchers to involve citizen scientists in helping out.

Using the Zooniverse citizen science platform, any member of the general public can help by looking at satellite images and identifying road blockages, damaged bridges, and more. Each image is classified multiple times by the current 2,277 registered volunteers, but the team is looking for more people to get involved.

“No prior experience is needed, and we really value all of our volunteers, and couldn't do this without them. We ask multiple people to look at each image so that we can gain a consensus, and we use this to generate heat maps that we can give to relief workers on the ground,” Dr Izzy Garland, a team member of this project, told IFLScience. 

Garland, together with Professor Brooke Simmons and Alice Mead, has been spearheading this important project. The total number of classifications has now surpassed 200,000. 

“Since launching on Wednesday afternoon UK Time, our volunteers have classified all of the main roads in Jamaica into blocked or unblocked, which will help rescue vehicles to plan access routes, and allow teams to begin unblocking the roads,” Dr Garland explained.

With Jamaican roads completed, the volunteers are now looking at Haiti. At the time of writing, less than 20 percent was completed. The faster this is done, the faster aid can be transported safely and quickly.

“We want to finish the classifications for Haiti. We can then make heat maps with the data and send them to the relief teams on the ground. Depending on how long that takes, we can then move on to looking for damage to ports and airports, so that more aid can enter these countries and get to the people who need it most,” Dr Garland told IFLScience.

The team stressed the gratitude they have for the rapid response of citizen scientists so far. When it comes to these types of classifications, the human eye is still crucial.

“We want the general public to know that they are absolutely invaluable! We could not run rapid response projects like this without you," Dr Garland said. "Because the images are so new, they often have issues with colour balancing, or slight misalignment, which humans are really good at dealing with, even with no prior experience with this kind of classification. Whereas, algorithms (even AI) might just mark the image as unclassifiable, and we would lose valuable data."

If you want to get involved and help, you can do so here.

البحث
الأقسام
إقرأ المزيد
أخرى
Health Tourism Market Challenges: Growth, Share, Value, Trends, and Analysis
Introduction Health tourism, also commonly referred to as medical tourism, has emerged as a...
بواسطة Shweta Kadam 2025-12-15 09:31:10 0 218
Technology
It’s a Chromebook. It’s a tablet. It’s only $169.99.
ASUS Chromebook CM30 TL;DR: Get a new, open-box ASUS...
بواسطة Test Blogger7 2025-07-21 10:00:15 0 2كيلو بايت
الألعاب
Anime Auto Chess codes December 2025
Anime Auto Chess codes December 2025 Thanks to a stellar start on the Roblox platform, new...
بواسطة Test Blogger6 2025-12-22 18:01:39 0 69
Technology
The Kindle Paperwhite is still on sale for the holidays — save $25 while you still can
Amazon Kindle deal: Save $25 on the Paperwhite before Christmas...
بواسطة Test Blogger7 2025-12-23 16:00:32 0 44
Music
Hear David Ellefson Cover Metallica's '(Anesthesia)'
Watch David Ellefson Honor Cliff Burton With 'Anesthesia' CoverFormer Megadeth bassist David...
بواسطة Test Blogger4 2025-09-11 15:00:07 0 1كيلو بايت